Puce / poux cheval ?

 Répondre au sujet
Auteur
16952 vues - 10 réponses - 0 j'aime - 1 abonné

Claraetflocon

Initié
 

Trust : 30  (?)



  M'écrire un MP

Genre : 
Messages : 72
Puce / poux cheval ?
Posté le 12/12/2015 à 16h38

Bonjour CA !

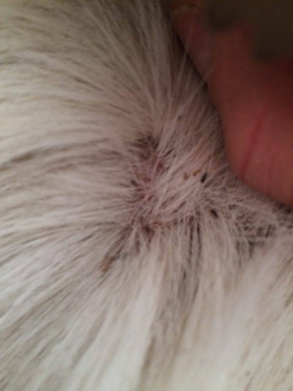
Mon poney a depuis quelques semaine des petits amas de croûtes avec des petites bêtes marrons dessus :



Il se gratte de plus en plus contre tout ce qu'il trouve.
Les croutes tombent avec les poils ce qui fait des petites plaques de peau sans poil :


Je pense à des puces ou des poux, dites moi vos avis svp et si vous connaissez des traitements..
Merci d'avance !

Alma

Membre ELITE Or
  

Trust : 1427  (?)



  M'écrire un MP

Genre : 
Messages : 98399
0 j'aime    
Puce / poux cheval ?
Posté le 12/12/2015 à 16h50

ce sont des poux

(les chevaux n'ont pas de puces déjà)

Kaskade

Membre d'honneur
   

Trust : -  (?)



  M'écrire un MP

Genre : 
Messages : 2649
0 j'aime    
Puce / poux cheval ?
Posté le 12/12/2015 à 16h59

pou broyeur "Damalinia equi" donc des Mallophages. ils se nourrisent de débris cutanés.
application locale d'un insecticide directement sur la peau.
On nettoie, voire on tond avant.
Il est conseillé de rincer à l'aide d'une soluition de vinaigre dilué (moitié vinaigre moitié eau) ça facilite le détachement des Damilina et leurs lentes.
(Vieille nomenclatue = Werneckiella equi)

Claraetflocon

Initié
 

Trust : 30  (?)



  M'écrire un MP

Genre : 
Messages : 72
0 j'aime    
Puce / poux cheval ?
Posté le 12/12/2015 à 17h48


kaskade a écrit le 12/12/2015 à 16h59:
pou broyeur "Damalinia equi" donc des Mallophages. ils se nourrisent de débris cutanés.
application locale d'un insecticide directement sur la peau.
On nettoie, voire on tond avant.
Il est conseillé de rincer à l'aide d'une soluition de vinaigre dilué (moitié vinaigre moitié eau) ça facilite le détachement des Damilina et leurs lentes.
(Vieille nomenclatue = Werneckiella equi)


Merci pour votre réponse, quel insecticide me conseillez vous ? Suis je obligée de le tondre ? Car il vit au pré, sinon comment bien le nettoyer avant ?

Tinangebleu

Membre ELITE Or
  

Trust : 253  (?)


  Mon site internet
  M'écrire un MP

Genre : 
Messages : 32096
0 j'aime    
Puce / poux cheval ?
Posté le 12/12/2015 à 17h57

POUX

En attendant pour avoir du produit, tu peut mouiller la crinière de ton bourrin au vinaigre blanc

Gwendo91

Expert
   

Trust : 44  (?)



  M'écrire un MP

Genre : 
Messages : 531
0 j'aime    
Puce / poux cheval ?
Posté le 12/12/2015 à 18h24

J'ai eu le soucie avec mes ânesses, j'ai tondu et application du vinaigre tous les deux jours pendant 2 semaines.
Sa a très bien marché

Spaghett

Membre ELITE Or
  

Trust : 23  (?)



  M'écrire un MP

Genre : 
Messages : 16673
0 j'aime    
Puce / poux cheval ?
Posté le 12/12/2015 à 18h38

non ça peut marcher a la premiere application sans tondre , tu achetes du butox a diluer , et tu met ton melange dans un flacon pulverisateur , tu trempes bien toute la base des crins de la crinire et toute la colonne vertebrale sur 10cm de large , et la base des crins de la queue , ça peut suffire

Claraetflocon

Initié
 

Trust : 30  (?)



  M'écrire un MP

Genre : 
Messages : 72
0 j'aime    
Puce / poux cheval ?
Posté le 12/12/2015 à 19h10

merci pour vos réponses!
Et pour désinfecter tout le matou vous me conseillez quoi comme produits ?

Laudanum

Expert
   

Trust : 204  (?)


  Mon site internet
  M'écrire un MP

Genre : 
Messages : 535
0 j'aime    
Puce / poux cheval ?
Posté le 13/12/2015 à 12h58

Il s'agit bien de poux.

Butox ou acadrex à diluer et à pulvériser.
A renouveler éventuellement 15 jours après.
C'est très efficace.

Tinangebleu

Membre ELITE Or
  

Trust : 253  (?)


  Mon site internet
  M'écrire un MP

Genre : 
Messages : 32096
1 j'aime    
Puce / poux cheval ?
Posté le 13/12/2015 à 13h41


claraetflocon a écrit le 12/12/2015 à 19h10:
merci pour vos réponses!
Et pour désinfecter tout le matou vous me conseillez quoi comme produits ?


Le matou ou le cheval ?

Claraetflocon

Initié
 

Trust : 30  (?)



  M'écrire un MP

Genre : 
Messages : 72
0 j'aime    
Puce / poux cheval ?
Posté le 13/12/2015 à 14h49


tinangebleu a écrit le 13/12/2015 à 13h41:


Le matou ou le cheval ?


La matériel ^^
Puce / poux cheval ?
 Répondre au sujet