Jument dressage 8 ans

Jument dressage 8 ans

Annonce

Bonjour,
Suite à une tendinite chronique au postérieur gauche, le sport est totalement contre indiqué pour notre jument.
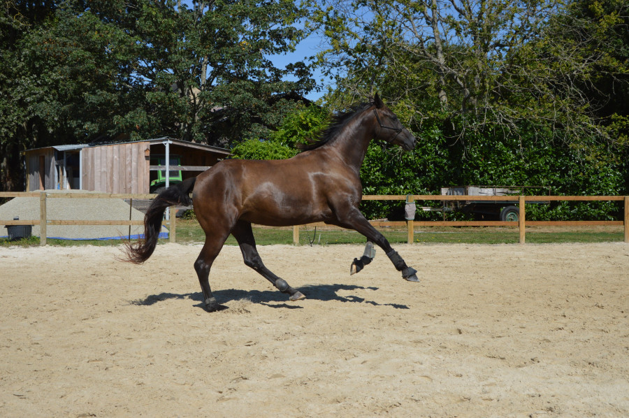
Initialement destinée à une carrière sportive en dressage, nous la proposons aujourd'hui à la vente en tant que poulinière exclusivement.
La jument est magnifique, avec 3 bonnes allures et notamment un excellent pas.
Elle est très bien éduquée et très pratique au quotidien (patiente pour les soins, voyage très bien, très sociable avec les autres animaux).
Les origines : Oldenbourg, Hanovrien, Westphalien.

Géolocalisation

Annonce N°477197
le 08-02-2026   |   par emilietr
Prix : 10000€   (Ferme)

Nom du cheval :Jument noire

Sexe :Poulinière

Race :Zangersheide

Taille :173 cm

Robe :Noir

Type :Cheval de sport

Âge :8 ans

Aptitudes :Dressage

Papiers :Oui

Transaction :à vendre


(35) Ille et Vilaine - France France

Contact annonceur

  • Nom du contact : lily
  • Code postal : 35000
  • Ville : RENNES
  • Pays : France