Ma jument pleine? vos avis

 Répondre au sujet
Page(s) : 1 2 3 4 5 6 7 8
Auteur
11511 vues - 113 réponses - 0 j'aime - 46 abonnés

Pnbost

Membre VIP

Trust : 905  (?)


  Mon site internet
  M'écrire un MP

Genre : 
Messages : 3908
Ma jument pleine? vos avis
Posté le 10/08/2016 à 22h21

Bonjour tout le monde et déjà merci de prendre le temps de me lire et de m'aider.

Je vous explique ma situation avec ma jument, Paloma, agée de 13 ans.

Depuis 4 ans Paloma est avec un étalon de 29 ans (il avait donc 25 à son arrivée). L'étalon en question m'a été donné car "il ne pouvait plus reproduire", ainsi je l'ai donc mis avec ma jument sans aucun soucis pendant 4 ans sans avoir un quelconque problème, monsieur l'a déjà montée mais vu qu'on m'a affirmé que ça ne risquait rien, j'ai jamais voulu les séparer..

Juillet arrive, ma jument est clairement énorme après deux mois à rien faire à part brouter, donc je l'emmène chez ma coach pour une remise au travail et un petit régime.
Elle perd un peu, notamment au niveau des côtes et de l'arrière main.

Mais le ventre ne maigrit pas, lui. Ce qui la rend très moche d'ailleurs mais bon, je me dis que c'est sûrement le plus dur à affiner.
Jusqu'a ce matin où ma coach me fait venir car elle commence à se demander si la jument n'est pas pleine.. Effectivement (je vais vous mettre des photos) les mamelles sont bien gonflées par rapport à d'habitude et le ventre a une forme assez bizarre que je n'avais pas remarquée jusqu'à présent. En me montrant ça, ma coach m'a fait repenser qu'il y a une semaine j'avais vu ses mamelles gonflées et j'ai pensé à une piqûre d'insecte donc ça ne m'a pas alerté.

Plusieurs questions me trottent dans la tête :
Mon étalon peut il l'avoir saillie à 29 ans? Il est encore en forme mais une petite faiblesse au niveau des hanches depuis 2 ans (qui ne l'empêche ni de trotter ni de galoper au pré).

Comment est ce possible, si la jument est pleine, qu'après 4 ans ensemble il ne se soit rien passé jusqu'à cette année?

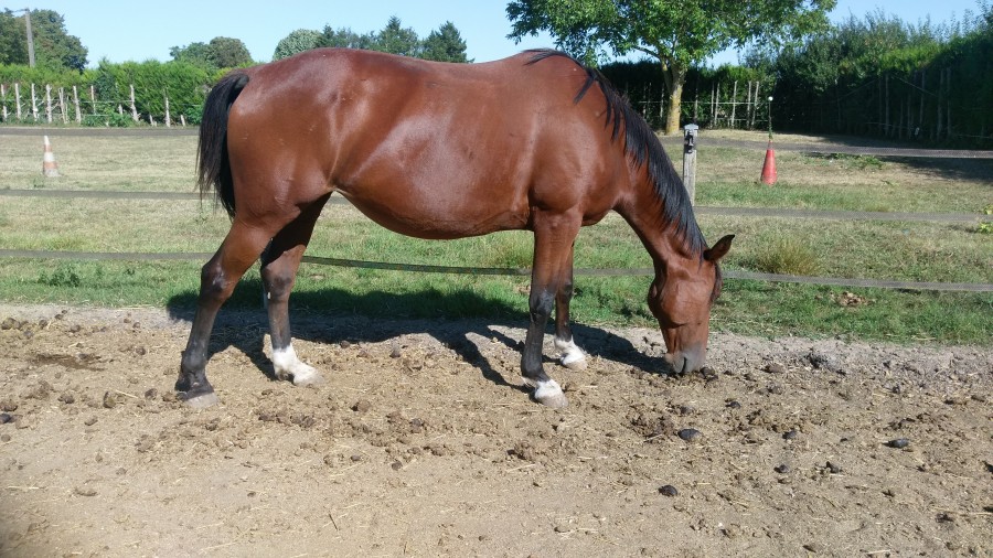
Voici les photos de Paloma aujourd'hui :

Cliquez pour voir l'image   

Cliquez pour voir l'image   

Cliquez pour voir l'image   

Cliquez pour voir l'image   

Cliquez pour voir l'image   

Qu'en pensez vous ?
Avez vous déjà été dans ce cas? Comment avez vous géré ça?

Le véto vient cette semaine la fouiller, je ne sais pas encore quand..

Pnbost

Membre VIP

Trust : 905  (?)


  Mon site internet
  M'écrire un MP

Genre : 
Messages : 3908
0 j'aime    
Ma jument pleine? vos avis
Posté le 03/09/2016 à 22h11

mylenep merci pour les infos !

Bon voici les photos de la miss aujourd'hui, désolée j'ai pas réussi à l'avoir exactement comme la dernière fois













Meyloo

Maître
    

Trust : 560  (?)



  M'écrire un MP

Genre : 
Messages : 1072
1 j'aime    
Ma jument pleine? vos avis
Posté le 04/09/2016 à 10h57

pnbost Son ventre a quand même une forme...particulière

Hopane

Membre d'honneur
  

Trust : 113  (?)



  M'écrire un MP

Genre : 
Messages : 2050
0 j'aime    
Ma jument pleine? vos avis
Posté le 04/09/2016 à 11h16

Oui c'est tout à fait possible qu'elle n'ait pas pris les 1ères années et que là elle soit pleine!

Mimichamp56

Membre d'honneur
    

Trust : 165  (?)



  M'écrire un MP

Genre : 
Messages : 3385
0 j'aime    
Ma jument pleine? vos avis
Posté le 04/09/2016 à 11h21


meyloo a écrit le 04/09/2016 à 10h57:
@pnbost Son ventre a quand même une forme...particulière


Entièrement d'accord !

Je lui trouve le même ventre que ma jument, sur cette photo quelques jours avant de pouliner :


La prise de sang n'est pas fiable, par contre l'écho serait vraiment une bonne idée, histoire de gérer au mieux la jument : vers, gestation, surpoids ? ...

Emprisa

Compte supprimé


2 j'aime    
Ma jument pleine? vos avis
Posté le 04/09/2016 à 11h23

Pour moi avec les dernieres photos et ce que tu as dit sur ce topic.. Bah je pense qu'elle est pleine, comme quelqu'un la dit au dessus, la forme de son ventre est particulière et équivoque ^^

Pnbost

Membre VIP

Trust : 905  (?)


  Mon site internet
  M'écrire un MP

Genre : 
Messages : 3908
0 j'aime    
Ma jument pleine? vos avis
Posté le 05/09/2016 à 20h49

Bon.. vous avez l'air d'être du même avis que moi.. Je ne suis donc pas folle!
L'ostéo vient la voir mercredi, elle pourra peut être m'en dire plus elle ?

Emprisa

Compte supprimé


0 j'aime    
Ma jument pleine? vos avis
Posté le 05/09/2016 à 22h18

Tu n'as pas d'autre examens de prévus pour en avoir le coeur net ?

Pnbost

Membre VIP

Trust : 905  (?)


  Mon site internet
  M'écrire un MP

Genre : 
Messages : 3908
0 j'aime    
Ma jument pleine? vos avis
Posté le 06/09/2016 à 10h25

emprisa pour l'instant non...

Cath87

Membre ELITE Or
  

Trust : 183  (?)



  M'écrire un MP

Genre : 
Messages : 14271
1 j'aime    
Ma jument pleine? vos avis
Posté le 06/09/2016 à 11h03

je peux pas te dire.... mais je suis...

Pnbost

Membre VIP

Trust : 905  (?)


  Mon site internet
  M'écrire un MP

Genre : 
Messages : 3908
2 j'aime    
Ma jument pleine? vos avis
Posté le 09/09/2016 à 17h14

Des news, passage de l'ostéopathe fait, elle commence direct par me dire qu'elle la trouve "Bien ronde", après avoir vu le pas/trot elle nous dit qu'elle a une démarche assez bizarre, et ça avant qu'on lui dise que la jument est peut être pleine.. donc bon. Après le bilan elle me dit quand même qu'elle ne peut pas savoir car c'est sûrement trop récent pour qu'elle puisse remarquer quelque chose. Selon elle effectivement le ventre est bien bas..

Rdv à la clinique mercredi à 17h pour une écho, au moins je serai fixée.. à suivre !

Haribo5422

Membre VIP
  

Trust : 1316  (?)



  M'écrire un MP

Genre : 
Messages : 4639
2 j'aime    
Ma jument pleine? vos avis
Posté le 09/09/2016 à 17h48

Tu as raison pour L'Echo au moins tu ne seras plus dans le doute ;)

Sarah_niv

Apprenti
  

Trust : 282  (?)



  M'écrire un MP

Genre : 
Messages : 232
1 j'aime    
Ma jument pleine? vos avis
Posté le 09/09/2016 à 19h18

je suivais en sous marin depuis un moment mais je pense bien qu'elle soit pleine le contraire m'étonnerait bcp

Pnbost

Membre VIP

Trust : 905  (?)


  Mon site internet
  M'écrire un MP

Genre : 
Messages : 3908
0 j'aime    
Ma jument pleine? vos avis
Posté le 10/09/2016 à 12h05

sarah_niv c'est ce que plusieurs personnes m'ont dit..
En tous cas j''attend mercredi avec impatience..

Sarah_niv

Apprenti
  

Trust : 282  (?)



  M'écrire un MP

Genre : 
Messages : 232
1 j'aime    
Ma jument pleine? vos avis
Posté le 10/09/2016 à 17h10

Tient nous au courant ;)

Pnbost

Membre VIP

Trust : 905  (?)


  Mon site internet
  M'écrire un MP

Genre : 
Messages : 3908
1 j'aime    
Ma jument pleine? vos avis
Posté le 10/09/2016 à 18h05

sarah_niv oui bien entendu!
Page(s) : 1 2 3 4 5 6 7 8
Ma jument pleine? vos avis
 Répondre au sujet