Semilly/Saulcis: élevage de SF et poneys de sport

 Répondre au sujet
Auteur
3.5M vues - 44860 réponses - 15 j'aime - 84 abonnés

Ncaar

Membre ELITE Or
  

Trust : 332  (?)



  M'écrire un MP

Genre : 
Messages : 15908
Semilly/Saulcis: élevage de SF et poneys de sport
Posté le 07/05/2011 à 19h11

Bonjour à tous,

Ce sujet est avant tout un lieu d'échange entre passionnés: éleveurs, cavaliers, propriétaires ou non!
Je vous propose également des nouvelles régulières de mon petit élevage familial de chevaux Selle Français et de Poneys Français de Selle.
J'ai d'abord mis au monde plusieurs poulains sous différents affixes avant de me fixer en Bourgogne, au lieu dit Semilly. Mise à part la carrière qui a été réalisée par un professionnel, nous construisons par nous-même le reste des installations, vous pouvez ainsi suivre l'avancée progressive des travaux.

Ici, pas d'élevage intensif: LA QUALITE AVANT LA QUANTITE!!!
Juste une petite dizaine d'hectares et quelques poulinières, ce qui permet de faire un "roulement" et de laisser souffler ponctuellement celles qui en ont besoin.

Tous les chevaux sont très suivis sur le plan sanitaire: alimentation de qualité et foin bio fauché sur la propriété, poulains vaccinés dès le sevrage, vermifuges et parages très réguliers dès le plus jeune âge, dentiste ostéo et shiatsu si besoin pour les poulinières.
Les chevaux vivent au grand air la majeure partie de l'année mais connaissent aussi le box avec sorties quotidiennes lors des rigueurs de l'hiver. Ce qui a l'avantage de faciliter les manipulations: ainsi mettre le licol, donner les pieds, quitter les copains ponctuellement deviennent la routine!
Ca leur permet aussi de "manger à la carte" et de profiter de l'hiver au calme et au sec, histoire d'arriver au printemps sans perte d'état, bien au contraire.
Des poulains très soignés et habitués à tout type de vie: tout est ainsi réuni pour faire de futurs athlètes bien dans leur corps et dans leur tête!

Ici, vous trouverez aussi bien votre futur cheval de grand prix 145 ou poney As en CSO, qu'un cheval apte à tourner en horse ball ou en pony games au niveau national, que votre cheval d'amateur en dressage ou votre compagnon de tous les jours, tout simplement!

- la jumenterie est polyvalente, principalement choisie selon le modèle et l'aptitude au sport.
Toutes les poulinières ont fait ou feront de la compétition et sont issues de familles de gagnants, c'est primordial.
- les étalons sont tous sélectionnés sur performances et sur des critères très précis en fonction de chaque jument, en aucun cas selon les effets de mode....
- les poulains naissent volontairement en nombre restreint, afin de prendre le temps de manipuler et d'éduquer chacun au mieux, puis de lui trouver la bonne maison qui lui permettra d'exprimer tout son potentiel.
Les plus performants nés à la maison ont été indicés 136 en chevaux (avant d'être vendu à l'étranger) et 149 en poneys, j'espère que les suivants feront au moins aussi bien!

Je suis une adepte du "qui veut voyager loin ménage sa monture", ce qui fait que je laisse mes poulains profiter pleinement de leur croissance sans chercher à les bousculer par une mise au travail trop précoce!
Donc pas de débourrage avant 3 ans révolus à Semilly!

SUIVEZ LES POST IT POUR VOIR LES JUMENTS DE L'ELEVAGE ET L'EVOLUTION DES POULAINS!


Les poulains:

- GOODWIN SF par Viking d'Oria x Enchanteur AA vendue
Cliquez pour voir l'image   

- LIBERTY SF par Quam de la Lande x Turner PS vendue

- MOSIRE SF par Rosire x Turner PS vendu in utero

- NUAGE SF par Corland x Viking d'Oria vendu
Cliquez pour voir l'image   

- OBRIZO SF par Apache d'Adriers x Viking d'Oria vendu in utero

- ROYALE SF par Kéops du Vinnebus x Boléro de Brécey vendue
Cliquez pour voir l'image   

- SEIGNEUR SF par Jeff d'Or x Volcan Rouge vendu
Cliquez pour voir l'image   

- SULTAN SF par Expério x Enchanteur AA vendu
Cliquez pour voir l'image   

- TOP MODEL SF par Flipper d'elle x Volcan Rouge vendue
Cliquez pour voir l'image   

- TOMAHAWK SF par Apache d'Adriers x Enchanteur AA vendu
Cliquez pour voir l'image   

- TSARINE SF par Calvaro Z x Boléro de Brécey, vendue puis décédée accidentellement à 2 ans
Cliquez pour voir l'image   

- UP TO DATE SF par Lando x Volcan Rouge vendue
Cliquez pour voir l'image   

- VICOMTE SF par Fédor de Sèves x Enchanteur AA vendu
Cliquez pour voir l'image   

- ALTESSE SF par Jeff d'Or x Volcan Rouge, décédée accidentellement à 2 mois et demi
Cliquez pour voir l'image   

- ALFA SF par Poor Boy x Enchanteur AA dite JUNIOR reste à l'élevage
Cliquez pour voir l'image   

- BARON SF par Poor Boy x Volcan Rouge vendu
Cliquez pour voir l'image   

- CHAMPION SF par Damiro B x Kéops du Vinnebus vendu
Cliquez pour voir l'image   

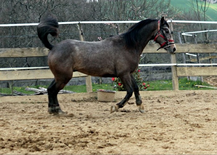
- CABRIOLE PFS par Fricotin dite GALIPETTE vendue
Cliquez pour voir l'image   

- EBENE SF par Dollar dela Pierre x Poor Boy reste à l'élevage
Sur sa première barre:
Cliquez pour voir l'image   

- GAELIC PFS par Poetic Justice x Dandy des Mauvis, dite Lili vendue
Cliquez pour voir l'image   

- GENTLEMAN SF par Vagabond de la Pomme x Arpège Pierreville vendu
Cliquez pour voir l'image   

- HERMIONE PFS par Popstar des Nouettes x Dandy des Mauvis vendue
Cliquez pour voir l'image   

- IMPERIALE SF par Emerald Van't Ruytershof x Arpège Pierreville vendue
Cliquez pour voir l'image   

- JAVA BLUE SF par Zirocco Blue (ex Quamikase des Forets) x Dollar dela Pierre vendue
Cliquez pour voir l'image   

- KELSTAR SF par All Star 5 x Arpège Pierreville vendu
Cliquez pour voir l'image   

- MARQUISE SF par Argento x Dollar dela Pierre reste à l'élevage
Cliquez pour voir l'image   

- NO LO CREO SF par Rialto des Rosiers x Poor Boy vendu
Cliquez pour voir l'image   

- NICE BOY SF par Argento x Zirocco Blue vendu
Cliquez pour voir l'image   

- NOVAK SF par Quel Homme de Hus x Arpège Pierreville
Cliquez pour voir l'image   

- ONLY YOU OC par Urban Legend Equi'rev x Poor Boy
Cliquez pour voir l'image   

- PASTAGA OC par Urban Legend Equi'rev x Arpège Pierreville
Cliquez pour voir l'image   


POULAINS A NAITRE EN 2026:

- OC par Goldwyn d'embets et Marquise à terme le 07 avril
- SF par Panama Tame et Rachel à terme le 19 mai
- SF par Rialto des Rosiers et Alfa à terme le 26 juin


Les poulinières:

- ALFA SF par Poor Boy x Enchanteur AA, 15 ans, 1m63, dite JUNIOR puisqu'elle a le même nom que sa mère. Testée saine à la PSSM.
Un papa qui cumule cinquante classements ou victoires en international, vainqueur d'épreuve coupe du monde avec Beat Mandli et père de très bons chevaux comme Poshino de Granlieu gagnant sur 1m45 et classé sur 1m50.
Un grand-père maternel ayant fait des courses de steeple-chase, donc une souche de base polyvalente ayant produit des gagnants aussi bien en concours complet, qu'en CSO et en dressage. On retiendra Vedette II ICC 148, mais aussi Nuage d'Alfa ISO 123 et Tralala Div classé en 135.
Cliquez pour voir l'image   
Gestante du SF Rialto des Rosiers

- EBENE SF par Dollar dela Pierre x Poor Boy, 11 ans, 1m63, 5 sans fautes sur 6 parcours à 4 ans.
Un père champion du monde par équipe en CSO croisé avec une mère bonne jument d'amateur polyvalente, celle de ma souche de cœur!
Cliquez pour voir l'image   
En convalescence

- MARQUISE SF par Argento x Dollar dela Pierre, 3 ans, 1m70
Son père est numéro 1 mondial en 2015
Sa mère, accidentée, n'a malheureusement pas pu confirmer tout le potentiel qu'elle montrait à 4 ans
Cliquez pour voir l'image   
Gestante du PFS Goldwyn d'embets

- RACHEL SFO par Arpège Pierreville (Uriel) x Quicklove Fontaine (I love you), 20 ans, 1m70, a gagné plus de 1000€ en CSO dont 840€ en cycle classique à 4 et 5 ans. Testée saine à la PSSM.
Arpège Pierreville: un papa que l'on ne présente plus! Fils du chef de race Uriel, grand performer en internationaux ISO 167, père d'Orphée de l'illon championne des 6 et 7 ans à Fontainebleau. Il s'affirme de plus en plus comme excellent père de mère.
Côté maternel, on trouve entre autres Chamal Corubert international étranger qui a tourné en 1,50m en CSO, Et alors Corubert ISO 144 et Falbala Corubert qui a fait des internationaux à l'étranger aussi jusqu'en 140.
Plus loin, on trouve Gribouille C indicée 156 en concours complet. C'est aussi la souche de Loïca II ISO 149 mère et grand-mère de Joli bai du Gué ISO 169 et Pasha du Gué ISO 171 gagnant en CSI 5 étoiles coupe des nations 1m60 avec Adeline Hécart.
Excellente lignée maternelle notée 8/10 par l'ANSF.
Cliquez pour voir l'image   
Suitée d'un mâle d'Urban Legend Equi'rev et pleine du SF Panama Tame

- VIFFY SFO par Krack du Rouet x Allegreto, 16 ans, 1m68, classée jusqu'en amateur élite grand prix 125.
Son père indicé 160 est un fils du champion olympique Baloubet du Rouet.
La plupart de ses frères et sœurs utérins ont été performants jusqu'en 120-125-130 ou en concours complet.
Cliquez pour voir l'image   
Actuellement au travail

- ORLA ponette par Dandy des Mauvis x El Tirf Al Faras, 23 ans, 1m48, a tourné jusqu'en amateur 1 GP115 en CSO et en poney Elite en dressage (poney E1), championne régionale en concours de modèle et allures
Un papa New Forest qui a produit de bons gagnants en CSO comme Olympia du Vallois IPO 142 et une maman demi sang arabe qui est aussi la mère de Malik du Vallois classé sur 90 km en endurance.
Cliquez pour voir l'image   
Actuellement au travail
Sujet marqué en post-it L'auteur de ce sujet l'a marqué par des "Post-It".


Cliquez-ici pour suivre le post marqué



Édité par ncaar le 20-08-2025 à 14h37

Usa48

Membre ELITE Or
  

Trust : 22  (?)


  Mon site internet
  M'écrire un MP

Genre : 
Messages : 15434
0 j'aime    
Semilly/Saulcis: élevage de SF et poneys de sport
Posté le 12/03/2014 à 08h39

Barbara galipette sera plus grande que sa mère ou non?

Ncaar

Membre ELITE Or
  

Trust : 332  (?)



  M'écrire un MP

Genre : 
Messages : 15908
0 j'aime    
Semilly/Saulcis: élevage de SF et poneys de sport
Posté le 12/03/2014 à 08h44


usa48 a écrit le 12/03/2014 à 08h39:
Barbara galipette sera plus grande que sa mère ou non?

Je vais sans doute la toiser ce week-end.
Qualista fait 1m30, Cabriole faisait 1m28 en décembre.
Je pense qu'elle va être un peu plus grande mais elle ne devrait pas dépasser 1m35.
J'aurais bien voulu qu'elle soit D pour la garder, mais je me rends compte de plus en plus que je rêve malheureusement!

Usa48

Membre ELITE Or
  

Trust : 22  (?)


  Mon site internet
  M'écrire un MP

Genre : 
Messages : 15434
0 j'aime    
Semilly/Saulcis: élevage de SF et poneys de sport
Posté le 12/03/2014 à 09h00

Oui la c est sur que 1.4o ça fait bcp

Moi c est pareil je ne sais pas ce que je vais faire avec minussette un jour je me dis je la vends et le lendemain je la garde

Pachou15

Membre d'honneur
 

Trust : -  (?)



  M'écrire un MP

Genre : 
Messages : 1771
0 j'aime    
Semilly/Saulcis: élevage de SF et poneys de sport
Posté le 12/03/2014 à 10h09

Salut les filles,

Qualista est trop mignonne avec ses couettes! Tu vas la garder quand même malgré qu'elle ne donne pas de taille?
Je trouve aussi depuis le début que Galipette a la même tête de fripouille que Coco.

Tropica tu t'es visiblement éclatée et tes photos sont belles. Mon préféré est de loin Rebozo, je le préfère à Ideal de la Loge.

Nous avons passé une super journée avec Usa hier!!! Comme d'hab! Bon par contre le soleil a un peu tardé à se montrer et on a eu un peu froid au début.
Usa a fait de magnifiques photos de Coco, je vous en mettrai quelques-unes tout à l'heure après avoir nourri les chevaux.
Coco a été exemplaire et je suis très fière de lui. D'habitude il fait le show (et chaud aussi!!) au club mais là il a été sympa. Il nous ajuste fait un peu la comédie pour charger parce qu'il recule aussi vite qu'il monte donc faut pas trainer derrière!!
Usa l'a même fait brouter tranquillement et il a rien dit

Pachou15

Membre d'honneur
 

Trust : -  (?)



  M'écrire un MP

Genre : 
Messages : 1771
2 j'aime    
Semilly/Saulcis: élevage de SF et poneys de sport
Posté le 12/03/2014 à 11h09

Allez une série et après vous aurez plus de photos avant longtemps parce que j'ai dépassé mon quota



Et la dernière où il s'y prend comme un manche mais pour vous montrer que dès qu¡on met Coco dans une carrière avec des obstacles, il va les sauter!! Heureusement qu'il ne s'est attaqué qu'aux petits Il a peur de rien ce cheval il est impressionnant!!!


Et il toise 155, il n'a donc pris qu'1 cm depuis le mois de novembre et pourtant il a beaucoup changé, c'est marrant.

Ncaar

Membre ELITE Or
  

Trust : 332  (?)



  M'écrire un MP

Genre : 
Messages : 15908
0 j'aime    
Semilly/Saulcis: élevage de SF et poneys de sport
Posté le 12/03/2014 à 11h53

Moi je toise Champion tout à l'heure tiens! Je ne pense pas qu'il ait grandi beaucoup non plus.
Je commence à mettre les poulains dehors avec ce beau soleil, mais il n'y a rien à manger. Champion appelait pour rentrer au bout d'une heure hier et comme je ne l'ai pas écouté il était très faché le soir... Ras le bol....
Sinon ils se sont bien défoulés, il y aurait eu des photos à faire mais j'étais seule je n'ai donc pas pris l'apn.

Coco est superbe, il faut que tu renouvelles ton forfait pour pouvoir dépasser le quota de photos!

Qualista reste à la maison tant que les filles ont la taille pour la monter, mais je ne pense pas la remettre à la saillie, pas d'intérêt d'autant plus qu'elle est ONC.
On verra si on peut lui trouver une bonne maison quand elle sera trop petite.

Reinedamour

Membre d'honneur
    

Trust : -  (?)



  M'écrire un MP

Genre : 
Messages : 3164
0 j'aime    
Semilly/Saulcis: élevage de SF et poneys de sport
Posté le 12/03/2014 à 13h16

coco est magnifique bien rond mais qu'est ce qu'il est foncé
moi aussi j'ai à la maison la petite ponette à Maëva qui devient trop petite pour elle et pas utilisable pour le club.Je la met à l'autre club ou est Alcazar les enfant du propriétaire sont bons cavaliers ils vont la sortir en concours et dans 4 ans je la ferai saillir ,elle est welsh A je mettrai un B avec l'espoir de donner de la taille .elle toise 1.15 maximum

Vivi03

Membre ELITE Or
  

Trust : 258  (?)


  Mon site internet
  M'écrire un MP

Genre : 
Messages : 22164
0 j'aime    
Semilly/Saulcis: élevage de SF et poneys de sport
Posté le 12/03/2014 à 13h42

moi, j'ai aussi bounty et calysko qui semblent bien changer physiquement, mais quand j'ai toisé, tout pareil.
j'espère que calysko atteindra les 1.40m, mais je commence à douter...

ma okapi fait 1.21m, mais même trop petite, je la garde! je ferais tout pour, et j'espère pouvoir finir son débourage à l'attelage un jour....

il faut que j'arrive à apprendre à vaya et okapi a être en dextre, enfin vaya montée et okapi qui cours derrière.... mais j'avoue ne pas trop savoir comment mis prendre...
okapi à la bouche assez sensible et se braque un peu si ça la tire... j'aimerais pouvoir enmener mes filles en balade à terme, mais surtout, faire maigrir ma boule!!!

je vais aussi essayer de la remettre sur les barres en liberté pour faire des photos pour la vente des babys.... car elle sautait la miss! et pas de photos malheureusement...

Ncaar

Membre ELITE Or
  

Trust : 332  (?)



  M'écrire un MP

Genre : 
Messages : 15908
0 j'aime    
Semilly/Saulcis: élevage de SF et poneys de sport
Posté le 12/03/2014 à 17h17

Je veux bien des photos quand tu en feras Vivi

Vivi03

Membre ELITE Or
  

Trust : 258  (?)


  Mon site internet
  M'écrire un MP

Genre : 
Messages : 22164
1 j'aime    
Semilly/Saulcis: élevage de SF et poneys de sport
Posté le 12/03/2014 à 19h04

petit copier collé de mon poste...

Bounty, mise du filet, il accepte ça comme un grand!
Longe pas trot arrêt vraiment bien, et aux deux mains.
Ensuite, on a fait le défi des trois ans, il a été nickel.
puis pour finir, ma fille qui suate a coté de lui comme si elle voulait monter à l'arrêt et au pas, des deux cotés, puis mis en sac à patate et marche en main sans que je la tienne sur le poney, super.
il a travaillé top aujourd'hui!

Okapi, petite longe pour la détendre, c'était une séance d'aprentissage pour ma fille, mais dur de faire avancer en gardant la longe dans les mains sans que ça traine, mais bien pour une première.
puis petite barre en liberté.
j'ai des vidéos à mettre, mais youtube semble en grève pour le moment, donc, photos et photos d'Okapi tirée des vidéos.








Ncaar

Membre ELITE Or
  

Trust : 332  (?)



  M'écrire un MP

Genre : 
Messages : 15908
0 j'aime    
Semilly/Saulcis: élevage de SF et poneys de sport
Posté le 12/03/2014 à 19h21

Super tout ça Vivi!

Vivi03

Membre ELITE Or
  

Trust : 258  (?)


  Mon site internet
  M'écrire un MP

Genre : 
Messages : 22164
0 j'aime    
Semilly/Saulcis: élevage de SF et poneys de sport
Posté le 12/03/2014 à 19h23

oui, on avance tranquile.

Spaghett

Membre ELITE Or
  

Trust : 23  (?)



  M'écrire un MP

Genre : 
Messages : 16671
0 j'aime    
Semilly/Saulcis: élevage de SF et poneys de sport
Posté le 12/03/2014 à 19h26

ils sont beaux vos loulous , Coco quel frimeur , et Bounty a l'air super appliqué on voit que ça cogite ! et alors la derniere photo Vivi j'ai bien rigolé je m'attendais a un saut

Usa48

Membre ELITE Or
  

Trust : 22  (?)


  Mon site internet
  M'écrire un MP

Genre : 
Messages : 15434
0 j'aime    
Semilly/Saulcis: élevage de SF et poneys de sport
Posté le 12/03/2014 à 19h31

Pareil pour la dernière photo

Civiv

Membre VIP

Trust : 38  (?)



  M'écrire un MP

Genre : 
Messages : 3764
0 j'aime    
Semilly/Saulcis: élevage de SF et poneys de sport
Posté le 12/03/2014 à 19h32

Vivi, j'ai jamais trop réussi a savoir qui était qui chez toi mais le premier (Bounty?) est adorable je trouve! Il a une super bouille c'est étonnant que tu ne lui trouve pas une bonne famille à celui-ci.
Et Okapie (la seconde donc?) se debrouille sacrément bien sur les barres, trés appliqué.

Et, en esperant ne pas ma planter la aussi mais, Coco(?) est trés joli, tout en rondeur, et en pleine forme

Edit pour le pauvre Coco je savais que c'était un garçon en plus mais mes doigts n'ont pas tapé comme mon cerveau pensait

Edité par civiv le 12-03-2014 à 19h44



Semilly/Saulcis: élevage de SF et poneys de sport
 Répondre au sujet