Cheval maigre: piroplasmose + lyme

 Répondre au sujet
Page(s) : 1 2 3
Auteur
12931 vues - 37 réponses - 0 j'aime - 1 abonné

Clashkey

Novice

Trust : -  (?)



  M'écrire un MP

Genre : 
Messages : 26
Cheval maigre: piroplasmose + lyme
Posté le 15/05/2014 à 20h28

Bonjour à tous et toutes,

Je viens vous présenter mon Pur Sang de 15 ans qui a pas mal de soucis de santé et j'aimerai recueillir vos témoignages et conseils...

J'ai souligné les éléments importants pour que vous puissiez vous faire une idée du sujet plus rapide.

Voilà plusieurs années (4 ans) que mon cheval "LB" (surnom ^^) présente un amaigrissement notable. On distingue des 3 dernières à l'ensemble de ses cotes dans ses phases de "moins bien". De plus il a pas mal de problèmes cutanés (pellicules, croûtes, mauvaise repousse des poils, sensible au pansage++...). Enfin, un critère important à préciser, il est relativement agressif avec les humains et ses congénères.

Je l'ai récupérer depuis 2 ans et je cherche désespérément les causes de son mal-être. Il a donc été placé en pension box+paddock après avoir vécu 3 ans de club en box (où il était très bien soigné). Il a repris un peu d'état mais toujours "maigre".

Pour plus d'infos:
J'ai réussis à remettre sa flore intestinale en état avec des levures et de l'homéo depuis 1an environ mais toujours pas d'améliorations...
Mon cheval est vermifugé en phyto+homéo (résultat copro Fevrier 2014: négatif), il est nourrit depuis Mars 2014 au St hippolyt (equiguard+luzerne mix) et il a foin à volonté.
Mi-Mars 2014: Entorse du suspenseur du boulet (ant. gauche) en trébuchant dans un rond de longe.
Bilan sanguin + hépatique: Petite anémie + taux d'albumine très bas (protéine du foie) --> sérologie positive pour la piroplasmose (1/640ème) et maladie de lyme (1/100ème).

Cela fait 1 semaine que le protocole de traitement pour la piroplasmose (4 injections double dose de Carbésia à 72h d'intervalle) est fini. C'était assez éprouvant (tant pour lui que pour moi). Aujourd'hui, mon cheval dépérit au box à cause de son entorse. Il est maigre et je m'inquiète. Le véto conseille de voir s'il reprend après ce traitement mais je suis dubitative...

A coté de cela, j'ai un cheval qui m'a fait comprendre qu'il avait un besoin urgent de retourner à l'herbe (a refuser foin et grains pendant 3 jours), mais il a un poils brillant et l’œil vif. Cela me fait penser que j'ai oublier de préciser qu'il pleure beaucoup des deux yeux (+ de l’œil gauche) les larmes sont mélées à une substance blanche qui sèche sous les yeux de LB et font des sortes de croûtes que je nettoie quotidiennement à l'éponge et l'eau claire.

J'ai besoin de vos conseils car je suis perdue et je desepère de retrouver un cheval en santé. Même si le coté équitation me manque. Tout ce qui m'importe c'est qu'il reprenne de l'état avant d'aborder une retraite sereine et heureuse.

Je suis ouverte à tous vos conseils, questions et suggestions.

Ci-joint deux photos de mon cheval, pour vous montrez à quoi peut ressembler LB en "forme"(avant son début d'amaigrissement) et une photo qui date de la semaine dernière juste après la dernière injection de Carbésia... Les photos parlent d'elles même...

Juin 2009
Cliquez pour voir l'image   

Avril 2014
Cliquez pour voir l'image   

Clashkey

Novice

Trust : -  (?)



  M'écrire un MP

Genre : 
Messages : 26
0 j'aime    
Cheval maigre: piroplasmose + lyme
Posté le 01/06/2014 à 12h55

Coucou à tous,

@Allure.a: Pour l'instant j'attends qu'il reprenne des forces coté foie et qu'il fabrique un peu plus de globules rouges avant d'entamer un traitement antibiotique.

Sinon, LB a passé sa semaine dans le tout tout petit paddock, qu'il a bien défriché, il était tellement heureux... Alors début de semaine prochaine il retourne au vrai paddock, malgré les conseils du véto (qui d'ailleurs a un suivis plus que LÉGER à mon gout...). Bref mon cheval a besoin d'herbe et ça ne peut plus attendre.

Voici une photo 20 jours après la fin du traitement pour la piroplasmose (Bon sous la pluie pas terrible, mais j'essaie de faire des photos au même endroit et dans la même position pour pouvoir comparer ) :


Bon sur la photo ça ne se voit pas forcément mais il a meilleure mine ;)


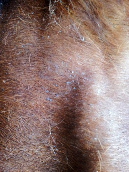
Pour ce qui est de ses problèmes de peau j'ai essayer de faire quelques photos si ça peut parler à quelqu'un...?

Une photo de ses "pellicules" au dessus de l'apophyse zygomatique


Une photo de ses "pellicules" sur la face interne de son antérieur droit:


Et une photo de ce que ça peut donner quand les poils s'arrachent:



Pas très glamour tout cela...
J'attends vos conseils avec impatiente,

Je pars préparer quelques friandises maisons pour mon petit Lou' et je vais le prendre en photo cet aprem pour faire un suivis

Ourraggan

Expert
   

Trust : -  (?)



  M'écrire un MP

Genre : 
Messages : 914
0 j'aime    
Cheval maigre: piroplasmose + lyme
Posté le 01/06/2014 à 13h17

Je ne sais pas si tu connais bien les huiles essentielles mais si ça t'intéresse je peux te mettre ça :

Perso j'aurais directement traité avec mais tu peux continuer avec pour stabiliser si tu veux :

Problème jument anémie
Posté le 12/05/2013 à 10h44 Répondre avec citation
Je peux te conseiller ça, mais c'est vrai que le mieux c'est de donner 3 fois par jour, sinon tant pis 1 fois ça marche aussi.

REBOUSTANT HYPER PUISSANT POUR ANIMAL ANEMIE
(diffuseur aromatique possible, Huiles Essentielles):

- Eucalyptus radié (radiata) +
- Thym blanc dit : a feuilles de sariette ou saturéoïde +
thymus satureoïde carvacoliferum
(il y a plus de 7 variétés d'HE de Thym, ne pas se tromper)
- Romarin officinal camphré +
- Bergamote Z (zestes) +
- Cannelle de Ceylan +
- Menthe poivrée : Mentha Piperita +
- Niaouli : Melaleuca Quinquinervia +
- Ylang Ylang : "Cananga Odorata" "Genuina (2 et 3)" Macrophylla + et -
- Genévrier commun : juniperius communis -
- Ravinstara : Cinamonum Camphré "laurier noble du japon) +

Je rajouterai Inule odorante "Inula Graveolens" peut être dispo avec ordonnance !!!

Un gramme d'HE peut varier de 20 à 30 gouttes selon les types de flacons, mais c'est pas grave.
Prends un pot de confiture en verre par exemple et mets une trentaine de gouttes de chaque huile. Soit 330 goutes.

Ce qui fait 15 gouttes par jour maxi (ce que je conseille dans un premier temps) soit 22 jours de traitement.
Je conseille de mélanger avec 3 cl d'huile d'olive pour (15gouttes) ou 1cl par prise pour 5 gouttes.
22*3=66 => environ 66 cl d'huile d'olive.
On donne avec une seringue la quantité par la bouche au cheval.

(testé sur un cheval de 24 ans anémié qui méttait 1heure pour faire 500 m. Au 3ème jour du traitement il ne méttait plus que 10 minutes pour les 500m et peu de temps après, au trop.)

----

Si tu veux plus de détails pas de problèmes je reste à ta dispo.

Edité par ourraggan le 01-06-2014 à 13h19



Ourraggan

Expert
   

Trust : -  (?)



  M'écrire un MP

Genre : 
Messages : 914
0 j'aime    
Cheval maigre: piroplasmose + lyme
Posté le 01/06/2014 à 13h17

Up

Edité par ourraggan le 01-06-2014 à 13h18



Clashkey

Novice

Trust : -  (?)



  M'écrire un MP

Genre : 
Messages : 26
0 j'aime    
Cheval maigre: piroplasmose + lyme
Posté le 01/06/2014 à 22h04

Merci beaucoup Ourraggan,

Mon cheval souffre d'une anémie faible et il se déplace très bien contrairement au cheval que tu cites. Par contre je suis intéressée par les effets des huiles essentielles, plus par rapport à ses problèmes cutanés, si tu as des conseils à me confier?

EDIT: où se fournir en HE?

Edité par clashkey le 01-06-2014 à 22h06



Luna28

Apprenti
  

Trust : -  (?)



  M'écrire un MP

Genre : 
Messages : 222
0 j'aime    
Cheval maigre: piroplasmose + lyme
Posté le 03/06/2014 à 15h50

En pharmacie ils en ont certaines!

Jade88

Membre d'honneur
    

Trust : -  (?)



  M'écrire un MP

Genre : 
Messages : 3168
0 j'aime    
Cheval maigre: piroplasmose + lyme
Posté le 04/06/2014 à 01h48

ça me fait penser à de la dermatophilose
sinon pour commander les HE, sur aromazone (c'est beaucoup plus cher en pharmacie)

Clashkey

Novice

Trust : -  (?)



  M'écrire un MP

Genre : 
Messages : 26
0 j'aime    
Cheval maigre: piroplasmose + lyme
Posté le 04/06/2014 à 09h08


jade88 a écrit le 04/06/2014 à 01h48:
ça me fait penser à de la dermatophilose
sinon pour commander les HE, sur aromazone (c'est beaucoup plus cher en pharmacie)


Oui en cherchant sur le net j'ai aussi trouver cela, donc je pense que c'est ça pour ce qui est des membres (photo où le poils est arraché) par contre pour les "pellicules" je n'ai pas encore trouvé de quoi il s'agit, en tout état de cause, son immunité doit être assez faible en ce moment donc il a des trucs bizarres... J'attends qu'il fasse grand beau pour lui faire un shampoing décrassant, avec un produit spécial peaux sensibles.


Merci de vos réponses concernant les huiles essentielles, qui m'ont aussi été conseillées pour son entorse

Edité par clashkey le 04-06-2014 à 09h09



Page(s) : 1 2 3
Cheval maigre: piroplasmose + lyme
 Répondre au sujet