Les petites aventures d'Aldo et Brin d'or

 Répondre au sujet
Page(s) : 1 ... 164 165 166 167 168 169 170 171 172 173 174 ... 442
Auteur
2.3M vues - 6625 réponses - 1 j'aime - 20 abonnés

Undomiel

Membre VIP
 

Trust : 56  (?)


  Mon site internet
  M'écrire un MP

Genre : 
Messages : 4471
Les petites aventures d'Aldo et Brin d'or
Posté le 01/01/2012 à 12h25

ALDO

ONC pie aubère né le 1er juin 2010

Il est entré dans nos vies en novembre 2011.

Cliquez pour voir l'image   

Cliquez pour voir l'image   

Cliquez pour voir l'image   

BRIN D'OR DURIMANDOUL

OC, un beau mélange de quarter, ibérique et sf x arabe

Il est arrivé en novembre 2013.

Cliquez pour voir l'image   

Cliquez pour voir l'image   

Cliquez pour voir l'image   
Sujet marqué en post-it L'auteur de ce sujet l'a marqué par des "Post-It".


Cliquez-ici pour suivre le post marqué



Édité par undomiel le 08-05-2016 à 09h41

Lomarshmallow

Membre d'honneur

Trust : -  (?)



  M'écrire un MP

Genre : 
Messages : 1320
0 j'aime    
Les petites aventures d'Aldo et Brin d'or
Posté le 08/11/2012 à 21h00


jenny44000 a écrit le 08/11/2012 à 20h58:




Co*****e!!

Jenny44000

Compte supprimé


0 j'aime    
Les petites aventures d'Aldo et Brin d'or
Posté le 08/11/2012 à 21h00


lomarshmallow a écrit le 08/11/2012 à 20h59:


Bon bah, t'as plus qu'à contacter les haras nationaux pour les avertir. Mais tu te débrouilles pour retrouver le père


c'est pas lui?

Lomarshmallow

Membre d'honneur

Trust : -  (?)



  M'écrire un MP

Genre : 
Messages : 1320
0 j'aime    
Les petites aventures d'Aldo et Brin d'or
Posté le 08/11/2012 à 21h01

Il y a un petit air de ressemblance, effectivement . Surtout pour le cou et pour les yeux, c'est lui tout craché!

Jenny44000

Compte supprimé


0 j'aime    
Les petites aventures d'Aldo et Brin d'or
Posté le 08/11/2012 à 21h03


lomarshmallow a écrit le 08/11/2012 à 21h01:
Il y a un petit air de ressemblance, effectivement . Surtout pour le cou et pour les yeux, c'est lui tout craché!


j'me disais aussi.

Jenny44000

Compte supprimé


0 j'aime    
Les petites aventures d'Aldo et Brin d'or
Posté le 08/11/2012 à 21h04

Eh en parlant de Haras... Chéri a posté le courrier ce matin, j'ai envoyé les papiers pour la validation.

Lomarshmallow

Membre d'honneur

Trust : -  (?)



  M'écrire un MP

Genre : 
Messages : 1320
0 j'aime    
Les petites aventures d'Aldo et Brin d'or
Posté le 08/11/2012 à 21h05


jenny44000 a écrit le 08/11/2012 à 21h04:
Eh en parlant de Haras... Chéri a posté le courrier ce matin, j'ai envoyé les papiers pour la validation.


Nickel! Une bonne chose de faite ça

Jenny44000

Compte supprimé


0 j'aime    
Les petites aventures d'Aldo et Brin d'or
Posté le 08/11/2012 à 21h08


lomarshmallow a écrit le 08/11/2012 à 21h05:


Nickel! Une bonne chose de faite ça


grave

Louisetteamour

Novice

Trust : -  (?)



  M'écrire un MP

Genre : 
Messages : 17
0 j'aime    
Les petites aventures d'Aldo et Brin d'or
Posté le 08/11/2012 à 21h15

Il est super beau ton loulou bonne chance pour la suite

Jenny44000

Compte supprimé


0 j'aime    
Les petites aventures d'Aldo et Brin d'or
Posté le 08/11/2012 à 21h16


louisetteamour a écrit le 08/11/2012 à 21h15:
Il est super beau ton loulou bonne chance pour la suite


Merci

Lostarmoor

Membre VIP
 

Trust : 75  (?)



  M'écrire un MP

Genre : 
Messages : 4153
0 j'aime    
Les petites aventures d'Aldo et Brin d'or
Posté le 08/11/2012 à 21h58

Très bien, j'adore Paul alors perso, dorénavant, je l’appellerais "Paul Junior"...

C'est con pour son problème de peau... Mais ça se soigne...Déjà vérifier l'alimentation car à chaque problème de peau que l'on a eu chez nous, c'était lié à une alimentation soit trop basse soit mal assimilée soit pas adaptée...


Et effectivement ça peut être dû à l'après coup de son hépatite...Le foie qui fonctionne mal . Mais je pense qu'avec l'HE tu es sur la bonne voie. Et pourquoi pas des EMA dans sa ration ? Je crois que c'est faisable et ça reconstituerait sa flore intestinale...


Bon, peut-être pas en ce moment vu que tu lui administres un drainant... D'ailleurs, je pense que ça va bien l'aider le drainant...Mais il ne faut pas trop en faire, sinon la flore devient toute fragile et bébé ne pourra plus construire ses défenses ce qui nous ramène au problème de peau...(car oui, selon les anciens, tout problème de peau a un rapport avec le système digestif)...


Voilu... Désolée de ne pouvoir plus t'aider.


Bon courage

Jenny44000

Compte supprimé


0 j'aime    
Les petites aventures d'Aldo et Brin d'or
Posté le 09/11/2012 à 06h17


lostarmoor a écrit le 08/11/2012 à 21h58:
Très bien, j'adore Paul alors perso, dorénavant, je l’appellerais "Paul Junior"...

C'est con pour son problème de peau... Mais ça se soigne...Déjà vérifier l'alimentation car à chaque problème de peau que l'on a eu chez nous, c'était lié à une alimentation soit trop basse soit mal assimilée soit pas adaptée...


Et effectivement ça peut être dû à l'après coup de son hépatite...Le foie qui fonctionne mal . Mais je pense qu'avec l'HE tu es sur la bonne voie. Et pourquoi pas des EMA dans sa ration ? Je crois que c'est faisable et ça reconstituerait sa flore intestinale...


Bon, peut-être pas en ce moment vu que tu lui administres un drainant... D'ailleurs, je pense que ça va bien l'aider le drainant...Mais il ne faut pas trop en faire, sinon la flore devient toute fragile et bébé ne pourra plus construire ses défenses ce qui nous ramène au problème de peau...(car oui, selon les anciens, tout problème de peau a un rapport avec le système digestif)...


Voilu... Désolée de ne pouvoir plus t'aider.


Bon courage


pour Paul junior.

Ensuite, je vais reprendre point par point. Niveau alimentation je ne pense pas. Je lui donne du Dodson et Orell qui est quand même une super marque, avec un complément alimentaire Dynavena élevage. Pour le drainant je connais bien je ne fais jamais plus de dix jours. Donc il reste trois jours à faire ^^.

De plus la véto a fait une prise de sang et il n'y a rien d'anormal, que ce soit au niveau du foie, au niveau des défenses etc...

Déjà ce soir, je vais le laver à la vétédine savon et le sécher à la main et lui mettre la polaire histoire de bien le laver. Il a trop de crasse, et l'HE de lavande combinée à l'isio 4 ça rend le poney gras (et accessoirement prêt pour ses 20 min de cuisson, c'est prêt servez aux invités XD)

Pour le moment, j'arrive à la contenir. Ce qui me fait peur ce que cela s'étende. Mais comme tu dis je suis sur la bonne voie.

Je pense en effet me mettre aux em-a en externe déjà. Et voir pour faire une cure en interne pendant l'hiver.

Donc nous verrons bien,

Jenny44000

Compte supprimé


0 j'aime    
Les petites aventures d'Aldo et Brin d'or
Posté le 09/11/2012 à 06h22

Surtout que son hépatite il l'a faite en mars dernier et guérison officielle depuis juillet. Alors vraiment je sais pas

Jenny44000

Compte supprimé


0 j'aime    
Les petites aventures d'Aldo et Brin d'or
Posté le 09/11/2012 à 09h11

Ce soir nettoyage à la vétédine. Par la suite une cure d'em-a en externe va être faite et sûrement en interne plus tard dans la saison.

Jenny44000

Compte supprimé


0 j'aime    
Les petites aventures d'Aldo et Brin d'or
Posté le 09/11/2012 à 10h51

Bon à midi je vais commencer le décrassage... je sens que je vais encore pas manger ce midi :/

Jenny44000

Compte supprimé


0 j'aime    
Les petites aventures d'Aldo et Brin d'or
Posté le 09/11/2012 à 15h04

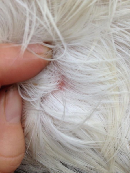
Bon comme le temps s'est gâté, j'ai fais les soins ce midi. J'ai shampouiner l'encolure et le poitrail à la vétédine savon. Un peu en mode relou le poney. Mais sympa quand même. Donc j'ai bien frotter à l'étrille, rincer à l'eau bien claire. Et j'ai passer des compresse à l'alcool modifié. Donc voilà, la peau est un petit peu moins rouge.

Des photos de ce midi donc:



l'état de sa peau


Page(s) : 1 ... 164 165 166 167 168 169 170 171 172 173 174 ... 442
Les petites aventures d'Aldo et Brin d'or
 Répondre au sujet